Skip to main content
Home

Service menu

  • Szukaj
  • Gdzie kupić
  • Kontakt
  • ZRÓWNOWAŻONY ROZWÓJ
Home lovethegarden

Main navigation

  • Produkty
    Trawnik
    Nawozy do roślin
    Podłoża
    Ochrona domu i ogrodu
    Chwasty
  • Marki
    Substral®
    Roundup® Chwastobójczy
  • Narzędzia
    Twój kalendarz ogrodniczy
    Porady i wskazówki na każdy sezon.
    Dowiedz się więcej
    Przewodniki upraw
    Odkryj jak uprawiać dowolną roślinę
    Dowiedz się więcej
    Identyfikator chorób, szkodników i chwastów
    Sprawdź co dolega Twojej roślinie.
    Dowiedz się więcej
    Kalkulator podłoża
    Sprawdź ile podłoża potrzebujesz.
    Oblicz teraz
    Kalkulator mulczu
    Sprawdź ile mulczu potrzebujesz.
    Oblicz teraz
    Wideo
    Odkryj nasze pomocne filmy wideo.
    Obejrzyj teraz
  • Porady i inspiracje
    Chwasty, szkodniki i choroby roślin
    Kwiaty, drzewa i krzewy
    Pielęgnacja ogrodu
    Porady eksperta
    Trawnik
    Własny ogródek
    Zrównoważony rozwój
  • Szukaj
  • Gdzie kupić
  • Kontakt
  • ZRÓWNOWAŻONY ROZWÓJ
  1. Home
  2. Narzędzia
  3. Identyfikator chwastów, chorób i szkodników
  4. Wybierz roślinę
  5. Zdiagnozuj problem
  6. Rdza
Nie to, czego szukasz? Wróć do strony głównej narzędzia.

Rdza gruszy, jałowca – jak ją zwalczać?

Czym jest rdza gruszy?

Istnieje ponad 5 tys. znanych gatunków rdzy atakującej różne rośliny. Najbardziej popularna choroba grzybowa (Phragmidium spp.) pojawia się na różach, pomidorach, na trawnikach, fasoli, wyżlinie czy malwie. Pasożytnicze grzyby rozwijają się na roślinach w wilgotnych warunkach. Rozwojowi grzybów sprzyjają deszcze i mgły, ale też zbyt obfite podlewanie. Mokre lata stwarzają idealne warunki do namnażania się grzyba. Rdza (również ta na gruszy) przenosi się z zakażonych roślin na zdrowe. Zarodniki grzyba transportowane są przez wiatr lub wodę i tak dochodzi do zainfekowania kolejnych roślin. Żeby grzyb mógł się rozwijać, potrzebuje sprzyjającego wilgotnego środowiska. Każdy gatunek rdzy bytuje na innych roślinach – jeden atakuje grusze, inny malwy, pelargonie czy róże. Późnym latem w naszym ogródku może pojawić się kilka odmian rdzy.

Niektóre gatunki rdzy przez całe swoje życie bytują tylko na jednej roślinie i wytwarzają jeden lub ewentualnie dwa rodzaje zarodników. Inne odmiany grzyba potrzebują do życia dwóch gatunków roślin, żeby przeprowadzić swój cykl życiowy i wyprodukować pięć lub więcej rodzajów zarodników. Rdza gruszy spędza część swojego życia na jałowcu.

Kolor rdzawych punktów pojawiających się na roślinie zainfekowanej grzybem zależy od rodzaju tego grzyba i zarodników, jakie produkuje. Rdza na róży to pomarańczowe punkty na liściach występujące przez większość lata, które na jesieni zamieniają się w punkty czarne zawierające zarodniki gotowe do przetrwania zimy. Na pelargoniach rdza powoduje tworzenie się brązowych plam otoczonych martwą tkanką, a na bukszpanie powstawanie ciemnobrązowych brodawek na spodzie i wierzchu liści.

Rdza


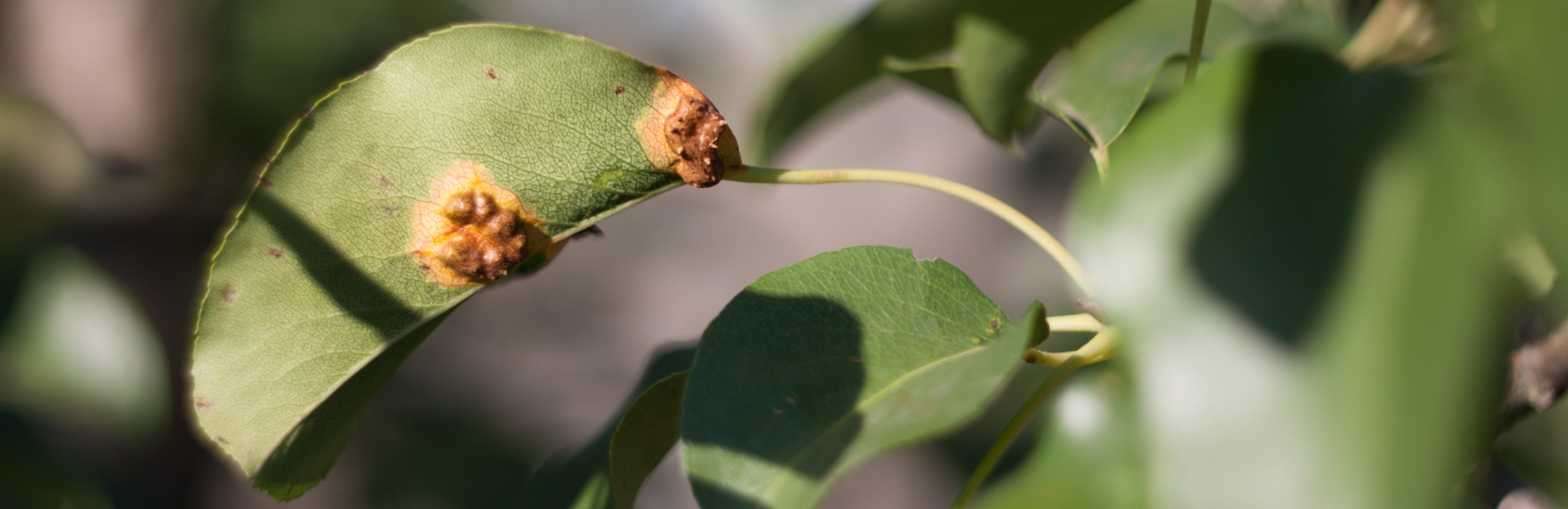
Jak rozpoznać rdzę gruszy?

Rdza gruszy wywoływana jest przez z grzyb z gatunku Gymnosporangium sabinae. Choroba grzybowa objawia się jasnopomarańczowymi punktami pojawiającymi się latem i wczesną wiosną na górnej części liści. Żeby grzyb nagoć sawinowa mógł zakończyć swój cykl życiowy, potrzebuje do tego drugiego żywiciela. Ta sama odmiana rdzy atakuje więc jałowiec.

Rdza gruszy nie jest trudna do rozpoznania.

  • Na górnej części liści pojawiają się plamki w kolorze jasnopomarańczowym.
  • Z czasem na spodniej części blaszki pojawiają się wyrostki w formie stożkowatych pęcherzyków (w miejscach, gdzie na górze liścia widać plamkę). W środku narośle są gąbczaste.

Rdza gruszy występuje też na jałowcu. Jeśli uprawiamy w swoim ogrodzie obie rośliny, grzyb zaatakuje i jedną, i drugą. Na jałowcu grzyb atakuje pień i gałęzie, na których przyrastają narośle. Produkują one galaretowane i pomarańczowe przyrosty, które pojawiają się na krzewie wiosną w okresie dużej wilgotności.

Rdza


Uszkodzenia wywołane przez rdzę gruszy

Grzyb powodujący rdzę gruszy produkuje zarodniki, które nie mogą ponownie zainfekować drzewa. Przenoszone są z wiatrem na jałowiec, gdzie grzyb kończy swój cykl życiowy i z powrotem przenosi się na gruszę. Wieloletnie jałowce są gospodarzem dla grzyba (grzybnia zimuje na pędach jałowca), który może na nim przetrwać ten okres, kiedy na gruszy nie ma liści. Pierwsze objawy choroby grzybowej pojawiają się wczesną wiosną na liściach drzewek owocowych.

Rdza gruszy powoduje:

  • uszkodzenia liści gruszy – tam, gdzie występują plamki i narośle liście twardnieją, a z czasem odpadają (zazwyczaj przedwcześnie);
  • porażenie ogonków owoców i samych owoców – pojawiają się grube wypukłe plamy, a owoce nie nadają się do spożycia (również przedwcześnie opadają);
  • osłabienie drzewek i ich większą wrażliwość na mróz;
  • słabsze plonowanie w kolejnym roku.

Rdza jałowca powoduje:

  • szarzenie i zamieranie fragmentów rośliny znajdujących się powyżej miejsca, gdzie występuje grzyb;
  • powstawanie galaretowatych narośli – psują estetykę rośliny.

Rdza


Leczenie i zapobieganie rdzy gruszy

Jak każdy grzyb i rdza gruszy nie jest łatwa do wyeliminowania. Zwalczanie jej popularnymi środkami grzybobójczymi (zawierającymi np. jony miedzi) nie przynosi większych efektów. 

Grzyb na jałowcu możemy potraktować również długo działającym preparatem grzybobójczym Substral Saprol. Środek działa systemicznie. Wnikając do rośliny krąży w jej sokach przez ok. 3 tygodnie, uniemożliwiając zasiedlanie się patogenów.

Jałowiec sabiński i rdza gruszy idą w parze. Zatem jeśli chcemy uniknąć zainfekowania naszej owocowej uprawy pasożytniczym grzybem, zrezygnujmy z sadzenia jałowców w naszym ogródku. Jeśli grusza rośnie w pobliżu jałowca, prędzej czy później zachoruje. Brak jałowców nie oznacza jednak, że patogen się nie pojawi. Zarodniki przenoszą się na duże odległości, więc wystarczy, że nasz sąsiad kilka działek dalej posadził jałowiec, a na naszym drzewku gruszy wystąpi rdza.

Jak powstrzymać rdzę gruszy?

  • palimy porażone liście i inne fragmenty rośliny, na których wystąpił grzyb;
  • profilaktycznie spryskujemy drzewka ekologicznymi gnojówkami z czosnku, skrzypu lub cebuli;
  • stosujemy preparaty działające na parcha gruszy, żeby nie dopuścić do rozwoju rdzy gruszy.

Rdza


Jak chronić się przed rdzą gruszy?

Jeśli planujemy uprawę gruszy w naszym ogrodzie, zadbajmy o przyjazne otoczenie dla drzewek. Rdza gruszy rozwija się tylko wtedy, kiedy w pobliżu znajdują się jałowce. W ogrodzie nie sadzimy tych krzewów i uświadamiamy sąsiadów o szkodliwości jałowców dla naszej uprawy. Choć nasze straty będą dużo większe niż sąsiada (grusza straci liście i prawdopodobnie również owoce), jego drzewka jałowcowe też nie będą prezentowały się okazale. Galaretowate narośle psują estetykę, a grzyb sprawia, że jałowiec zamiera.

Jak chronić się przed rdzą gruszy?

  • Wybieramy grusze odporne na rdzę. Należą do nich odmiany takie jak np. „Lukasówka”, „Paryżanka”, „Bera Hardy”. Popularna i bardzo lubiana „Faworytka” ulega niestety zakażeniu.
  • Co 7-14 dni spryskujemy drzewka ekologicznymi roztworami z sody oczyszczonej, wywarami ze skrzypu, cebuli lub czosnku.
  • Sadzimy grusze tylko tam, gdzie w pobliżu nie ma jałowców – uprawianie gruszy na ogródkach działkowych może być ryzykowne, ponieważ wielu amatorskich hodowców sadzi jałowce.
  • Profilaktycznie stosujemy na jałowcu (jeśli uprawiamy go w pobliżu gruszy) środek grzybobójczy Saprol o działaniu systemicznym.
  • Podlewamy drzewko gruszy tak, żeby nie moczyć jego liści – wilgotne środowisko stwarza doskonałe warunki dla rozwoju grzyba.
Najlepsze produkty do rozwiązania problemów
PL_1627101_SUB_PS.png

SUBSTRAL Saprol Środek Grzybobójczy do Roślin Ozdobnych

PL_1636101_SUB_PS.png

SUBSTRAL Saprol Środek Grzybobójczy do Thuj

new_1638101_SUB-SAPROL-SPRAY-KWIATY_750ml.png

SUBSTRAL Saprol Środek Grzybobójczy Spray

1640101-SUB-NAT-KOMPLEKSOWA-OCHRONA-12X800ML.png

SUBSTRAL Naturen Kompleksowa Ochrona

Znajdź sklep blisko siebie

Szukasz specjalistycznej porady ogrodniczej? A może po prostu szukasz konkretnego produktu? Odwiedź lokalny sklep i uzyskaj pomoc od personelu.

Powszechne choroby roślin

ziemiórka

Ziemiórki

Czytaj więcej Ziemiórki
szara plesn

Szara pleśń

Czytaj więcej Szara pleśń
zaraza ziemniaka

Zaraza ziemniaka

Czytaj więcej Zaraza ziemniaka
Fytoftyroza

Fytoftoroza

Czytaj więcej Fytoftoroza
Pająki

Pająki

Czytaj więcej Pająki
Mysz w ogrodzie

Myszy i szczury

Czytaj więcej Myszy i szczury
Jak pozbyć się karaluchów i prusaków? | Love The Garden

Karaluchy i prusaki

Czytaj więcej Karaluchy i prusaki
Miseczniki

Miseczniki

Czytaj więcej Miseczniki

Pagination

  • First disabled
  • Previous disabled
  • 1
  • 2
  • 3
  • 4
  • 5
  • Next ›
  • Last »
Przejrzyj wszystkie choroby
Contact form background image

Nie jesteś w stanie znaleźć rozwiązania?

Skontaktuj się z nami w celu uzyskania niezbędnej pomocy ogrodniczej.
Skontaktuj się teraz

Footer

  • Nasz cel
  • Kontakt
  • Eastern Europe Distributors
  • Marki
  • Warunki korzystania
  • Zrównoważony rozwój
  • Polityka prywatności
  • Preferencje dotyczące plików cookie

Evergreen Garden Care Poland Sp. z o.o.,
ul.Ostrobramska 101 A,
04-041 Warszawa,
Polska

© 2019 Evergreen Garden Care Poland. Substral® i Scotts® są zastrzeżonymi znakami towarowymi OMS Investments, Inc. i są używany na podstawie licencji od OMS Investments, Inc.
Roundup® jest zarejestrowanym znakiem towarowym i jest używany na podstawie licencji.

Flag of Poland Inne kraje
A local version of The Love The Garden website exists

Switch over if you want to find gardening products and brands available in your country.

Combined ShapeCombined Shapeicon--plusGroup