Skip to main content
Home

Service menu

  • Szukaj
  • Gdzie kupić
  • Kontakt
  • ZRÓWNOWAŻONY ROZWÓJ
Home lovethegarden

Main navigation

  • Produkty
    Trawnik
    Nawozy do roślin
    Podłoża
    Ochrona domu i ogrodu
    Chwasty
  • Marki
    Substral®
    Roundup® Chwastobójczy
  • Narzędzia
    Twój kalendarz ogrodniczy
    Porady i wskazówki na każdy sezon.
    Dowiedz się więcej
    Przewodniki upraw
    Odkryj jak uprawiać dowolną roślinę
    Dowiedz się więcej
    Identyfikator chorób, szkodników i chwastów
    Sprawdź co dolega Twojej roślinie.
    Dowiedz się więcej
    Kalkulator podłoża
    Sprawdź ile podłoża potrzebujesz.
    Oblicz teraz
    Kalkulator mulczu
    Sprawdź ile mulczu potrzebujesz.
    Oblicz teraz
    Wideo
    Odkryj nasze pomocne filmy wideo.
    Obejrzyj teraz
  • Porady i inspiracje
    Chwasty, szkodniki i choroby roślin
    Kwiaty, drzewa i krzewy
    Pielęgnacja ogrodu
    Porady eksperta
    Trawnik
    Własny ogródek
    Zrównoważony rozwój
  • Szukaj
  • Gdzie kupić
  • Kontakt
  • ZRÓWNOWAŻONY ROZWÓJ
  1. Home
  2. Narzędzia
  3. Identyfikator chwastów, chorób i szkodników
  4. Wybierz roślinę
  5. Zdiagnozuj problem
  6. Fytoftoroza
Nie to, czego szukasz? Wróć do strony głównej narzędzia.

Fytoftoroza – jak ją rozpoznać?

Fytoftoroza to jedna z najgroźniejszych, o ile nie najgroźniejsza choroba roślin, która pojawia się m.in. w przydomowych ogrodach. Rzadko udaje się ją zwalczyć, a działania zazwyczaj skupiają się na ograniczeniu strat, czyli ochronie zieleni sąsiadującej z rośliną zainfekowaną. Jakie symptomy powoduje fytoftoroza?

Na jakich roślinach występuje fytoftoroza?

Fytoftoroza jest wywoływana przez grzyby z rodzaju Phytophthora. Poraża wiele różnych grup roślin – od drzew po kwiaty doniczkowe, np. cyklameny. Często występuje na drzewach i krzewach ozdobnych, w tym na iglakach. Dość podatne są na nią bukszpany, azalie i różaneczniki. Nie można jednak przyjmować tego jako reguły. Równie dobrze wymienione rośliny mogą być porażane przez inne choroby grzybowe, a żywicieli Phytophthora jest znacznie więcej. Dlatego ważne jest rozpoznawanie problemu po charakterystycznych symptomach.

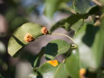
fytoftoroza


Fytoftoroza – główne objawy

Objawy fytoftorozy mogą nieco różnić się w zależności od gatunku, na którym występują. Patogeny ją wywołujące mają jednak wspólne cechy.

  • Liście azalii i różaneczników zwijają się łódkowato. Na blaszkach liściowych występują nekrozy.
  • U iglaków choroba rozpoczyna się od żółknięcia igieł lub łusek. Niestety początkowo jest to nie do rozpoznania – objawy są mylone z innymi chorobami fizjologicznymi lub grzybicami. Następnie drzewa lub krzewy przebarwiają się na brązowo lub czerwonawo. Wtedy z kolei jest już zbyt późno na „leczenie”.
  • U każdej rośliny dochodzi do zgnilizny korzeni i podstawy pnia. Zazwyczaj zgnilizna występuje na jednej stronie pędu i stopniowo posuwa się ku górze.
  • Pędy brązowieją i zamierają. Zwykle objawy występują na jednym lub kilku pędach, zaś inne wyglądają na zdrowe.
  • Po wykopaniu roślin widać, że ich system korzeniowy jest słaby, a końcówki korzeni brunatnieją. Przy występowaniu fytoftorozy dochodzi do gnicia i zamierania włośników.
  • Fytoftoroza prowadzi do więdnięcia i całkowitego zamierania roślin.

Powyższe symptomy mogą świadczyć o występowaniu fytoftorozy, ale całkowitą pewność uzyskuje się po usunięciu fragmentu kory. Odsłonięte drewno ma niezdrową rdzawobrązową barwę. Tkanki chore można łatwo odróżnić od zdrowych. Zmiany są widoczne także na przekroju poprzecznym pędu/pnia.

fytoftoroza


Zapobiegnie fytoftorozie i działania doraźne

Główna linia obrony przed fytoftorozą i innymi chorobami grzybowymi to przede wszystkim dbanie o dobre warunki uprawy i prawidłowe wykonywanie zabiegów pielęgnacyjnych. Zdrowa, zadbana zieleń jest bardziej odporna na niekorzystne czynniki zewnętrzne, w tym choroby.

Podłoże należy przygotować przed sadzeniem tak, aby było odpowiednio przepuszczalne. Większe ryzyko fytoftorozy zachodzi na glebach nadmiernie wilgotnych z tendencją do tworzenia zastoin wody. Jednocześnie nie należy zbyt gorliwie podlewać roślin. W uprawach pod osłonami podłoże zaleca się odkażać. Korzenie drzew i krzewów przed sadzeniem można moczyć w wodzie z dodatkiem fungicydu takiego jak np. SUBSTRAL Proplant Środek Grzybobójczy Fytoftoroza.

W przypadku rozpoznania choroby zmiany są już zazwyczaj daleko posunięte. Najlepiej jest wtedy chorą roślinę wykopać (utylizować lub spalić), a sąsiadujące z nią potraktować preparatem grzybobójczym. Ponadto wartościowe rośliny warto opryskiwać zapobiegawczo, aby zmniejszyć ryzyko wystąpienia fytoftorozy (i innych chorób).

Najlepsze produkty do rozwiązania problemów
PL_1635101_SUB_PS.png

SUBSTRAL Proplant Środek Grzybobójczy Fytoftoroza

PL_1361101_SUB_PS.png

SUBSTRAL Nawóz Magiczna Siła do Iglaków Przeciw Brązowieniu Igieł

PL_1360101_SUB_PS.png

SUBSTRAL Nawóz Magiczna Siła do Iglaków Przeciw Brązowieniu Igieł

PL_1636101_SUB_PS.png

SUBSTRAL Saprol Środek Grzybobójczy do Thuj

Znajdź sklep blisko siebie

Szukasz specjalistycznej porady ogrodniczej? A może po prostu szukasz konkretnego produktu? Odwiedź lokalny sklep i uzyskaj pomoc od personelu.

Powszechne choroby roślin

Jak pozbyć się bluszczu z ogrodu

Bluszcz

Czytaj więcej Bluszcz
Pędraki

Pędraki

Czytaj więcej Pędraki
Przędziorek chmielowiec

Przędziorek chmielowiec

Czytaj więcej Przędziorek chmielowiec
ślimaki

Ślimaki

Czytaj więcej Ślimaki
Rdza

Rdza

Czytaj więcej Rdza
mączniak prawdziwy

Mączniak prawdziwy

Czytaj więcej Mączniak prawdziwy
parch jabłoni i gruszy

Parch jabłoni i gruszy

Czytaj więcej Parch jabłoni i gruszy
poskrzypka liliowa

Poskrzypka liliowa

Czytaj więcej Poskrzypka liliowa

Pagination

  • « First
  • ‹ Previous
  • 1
  • 2
  • 3
  • 4
  • 5
  • Next ›
  • Last »
Przejrzyj wszystkie choroby
Contact form background image

Nie jesteś w stanie znaleźć rozwiązania?

Skontaktuj się z nami w celu uzyskania niezbędnej pomocy ogrodniczej.
Skontaktuj się teraz

Footer

  • Nasz cel
  • Kontakt
  • Eastern Europe Distributors
  • Marki
  • Warunki korzystania
  • Zrównoważony rozwój
  • Polityka prywatności
  • Preferencje dotyczące plików cookie

Evergreen Garden Care Poland Sp. z o.o.,
ul.Ostrobramska 101 A,
04-041 Warszawa,
Polska

© 2019 Evergreen Garden Care Poland. Substral® i Scotts® są zastrzeżonymi znakami towarowymi OMS Investments, Inc. i są używany na podstawie licencji od OMS Investments, Inc.
Roundup® jest zarejestrowanym znakiem towarowym i jest używany na podstawie licencji.

Flag of Poland Inne kraje
A local version of The Love The Garden website exists

Switch over if you want to find gardening products and brands available in your country.

Combined ShapeCombined Shapeicon--plusGroup